Nieuw
Villa
Aalstersestraat 147, 9280 Lebbeke
€ 895.000
- 6
- 935 m²
- garages
Unieke villa met authentieke charme in het hart van Wieze!
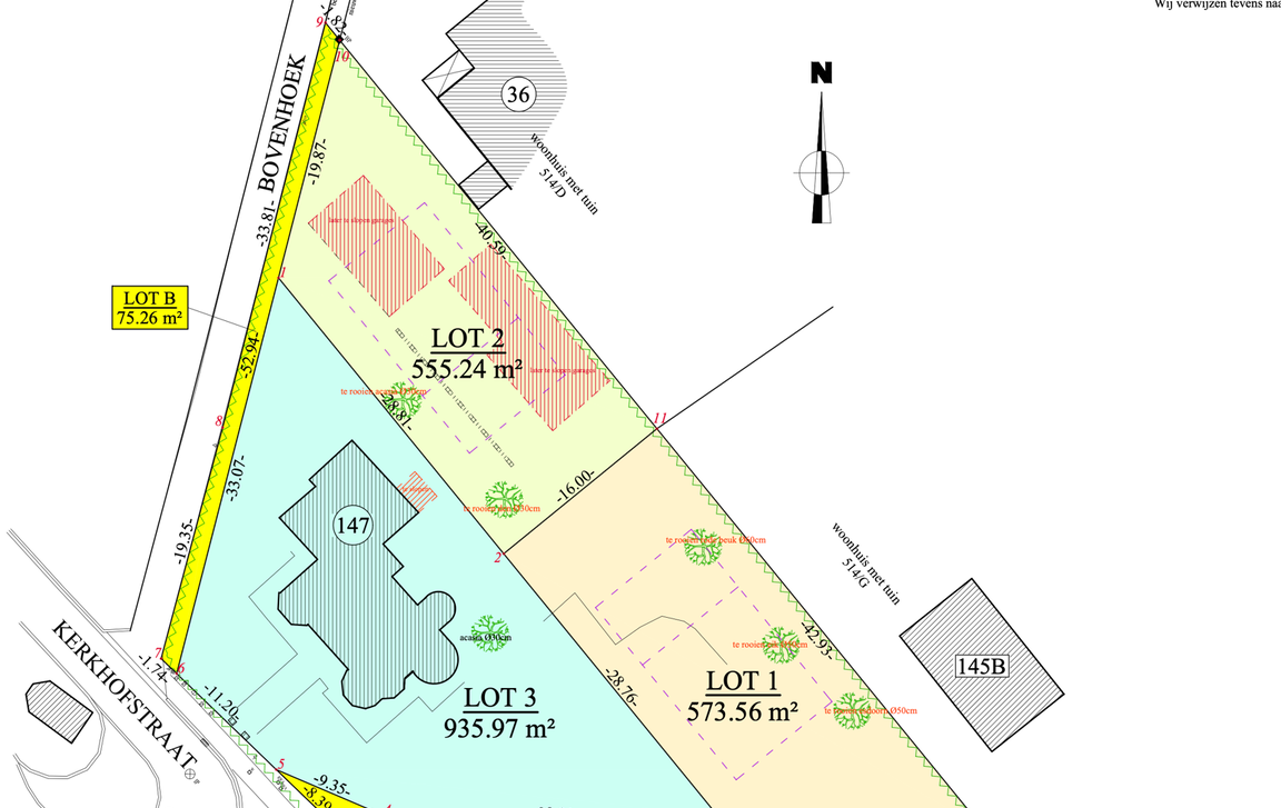
Unieke eigendom te Wieze bestaande uit een prachtige villa en 2 bouwgronden voor een open bebouwing.
Ben je op zoek naar een karaktervolle woning met uitstraling en ruimte? Dan is deze prachtige villa (voormalige dokterswoning) uit 1930 exact wat je zoekt. Met een immense bewoonbare oppervlakte van +/- 430 m² biedt deze woning talloze mogelijkheden: een riante gezinswoning, B&B, praktijkruimte of zelfs een tweewoonst.
Bij het binnenkomen word je meteen gecharmeerd door de authentieke inkomhal met originele elementen, die overal in de woning behouden zijn. De woning beschikt over een ruime leefruimte, een aparte ruimte voor de keuken en meerdere polyvalente kamers / bureauruimtes die je volledig naar eigen smaak kan inrichten.
De woning is volledig onderkelderd en beschikt over een inpandige garage, meerdere bergruimtes en wijnkelders. Op de eerste verdieping bevinden zich vier ruime slaapkamers, waarvan één slaapkamer met dressing en een badkamer. Op de tweede verdieping zijn nog eens twee ruime slaapkamers aanwezig. Een bijkomende troef: het dak is vernieuwd en volledig geïsoleerd. Het energielevel is F is maar aangrenzend aan E , met zeer eenvoudige ingrepen (ramen vernieuwen + isolatieplaat tegen het kelderplafond meteen aan EPC score D)
Naast de woning geniet je van een zonnige tuin, een heerlijk plekje om tot rust te komen.
Gelegen op een perceel van ongeveer 21 are, nabij centrum Wieze, op wandelafstand van scholen en openbaar vervoer. Bovendien is de woning uitstekend gelegen ten opzichte van de verbindingswegen richting Aalst en omgeving. Neem alvast een kijkje via de virtuele rondleiding!
Extra info:
Lot 1: bouwgrond: 573 m2
Lot 2: bouwgrond: 555 m2 (6% BTW mogelijk)
Lot 3: villa: 935 m2
Interesse in deze unieke eigendom? Contacteer ons via steffen@immotijl.be of 0472 28 41 65.
Ben je op zoek naar een karaktervolle woning met uitstraling en ruimte? Dan is deze prachtige villa (voormalige dokterswoning) uit 1930 exact wat je zoekt. Met een immense bewoonbare oppervlakte van +/- 430 m² biedt deze woning talloze mogelijkheden: een riante gezinswoning, B&B, praktijkruimte of zelfs een tweewoonst.
Bij het binnenkomen word je meteen gecharmeerd door de authentieke inkomhal met originele elementen, die overal in de woning behouden zijn. De woning beschikt over een ruime leefruimte, een aparte ruimte voor de keuken en meerdere polyvalente kamers / bureauruimtes die je volledig naar eigen smaak kan inrichten.
De woning is volledig onderkelderd en beschikt over een inpandige garage, meerdere bergruimtes en wijnkelders. Op de eerste verdieping bevinden zich vier ruime slaapkamers, waarvan één slaapkamer met dressing en een badkamer. Op de tweede verdieping zijn nog eens twee ruime slaapkamers aanwezig. Een bijkomende troef: het dak is vernieuwd en volledig geïsoleerd. Het energielevel is F is maar aangrenzend aan E , met zeer eenvoudige ingrepen (ramen vernieuwen + isolatieplaat tegen het kelderplafond meteen aan EPC score D)
Naast de woning geniet je van een zonnige tuin, een heerlijk plekje om tot rust te komen.
Gelegen op een perceel van ongeveer 21 are, nabij centrum Wieze, op wandelafstand van scholen en openbaar vervoer. Bovendien is de woning uitstekend gelegen ten opzichte van de verbindingswegen richting Aalst en omgeving. Neem alvast een kijkje via de virtuele rondleiding!
Extra info:
Lot 1: bouwgrond: 573 m2
Lot 2: bouwgrond: 555 m2 (6% BTW mogelijk)
Lot 3: villa: 935 m2
Interesse in deze unieke eigendom? Contacteer ons via steffen@immotijl.be of 0472 28 41 65.
In detail
Financieel
- prijs
- € 895.000
- onder btw stelsel
- nee
- opbrengsteigendom
- nee
Ligging
- ligging
- Centraal
- omgeving school
- ja
- omgeving openbaar vervoer
- ja
- omgeving winkels
- ja
- omgeving sportcentrum
- ja
Comfort
- aansluiting riolering
- ja
- aansluiting water
- ja
- kabeltelevisie
- ja
Gebouw
- constructie
- Open
- bouwjaar
- 1930
- gevelbreedte
- 19,00 m
- oriëntatie achtergevel
- Noord
- oriëntatie voorgevel
- Zuid
Terrein
- perceel opp.
- 935,00 m²
- breedte aan de straatkant
- 48,00 m
- tuin
- ja
Energie
- epc
- 587 kWh/m²
- epc unieke code
- 0002673506-RES-1
- epc klasse
- F
- verwarming
- Stookolie
- type verwarming
- Individueel
Technieken
- elektriciteit
- ja
- telefoonbekabeling
- ja
Garages / parking
- garages / parking
- 1
- binnenparking
- 1
- buitenparking
- 3
Indeling
- slaapkamers
- 6
- slaapkamer 1
- 13 m²
- slaapkamer 2
- 17 m²
- slaapkamer 3
- 15 m²
- slaapkamer 4
- 19 m²
- terras
- ja
- kelder
- ja
- bureau
- 18 m²
- woonkamer
- 46 m²
- eetkamer
- 16 m²
- keuken
- 18 m², VS geïnstalleerd
Stedenbouwkundige informatie & ruimtelijke ordening
- bestemming
- Woongebied
- bouwvergunning
- nee
- verkavelingsvergunning
- nee
- voorkooprecht
- nee
- vonnissen
- nee
- g-score
- A
- p-score
- A
- kadaster sectie
- C
- kadaster nummer
- 515
- renovatieverplichting
- JaDit pand kan onderheven zijn aan de renovatieverplichting die door de vlaamse overheid word opgelegd voor residentiele gebouwen. Voor meer informatie kan u de website van het Vlaams Energie- en Klimaatagentschap contacteren: https://www.vlaanderen.be/een-woning-kopen/renovatieverplichting-voor-residentiele-gebouwen
- bodemattest
- ja